Strongest Western Hemisphere Hurricane Ever Headed For Western Mexico
The strongest hurricane ever recorded in the Western Hemisphere is headed for the western coast of Mexico, and the prospects for a true disaster seem to be quite high:
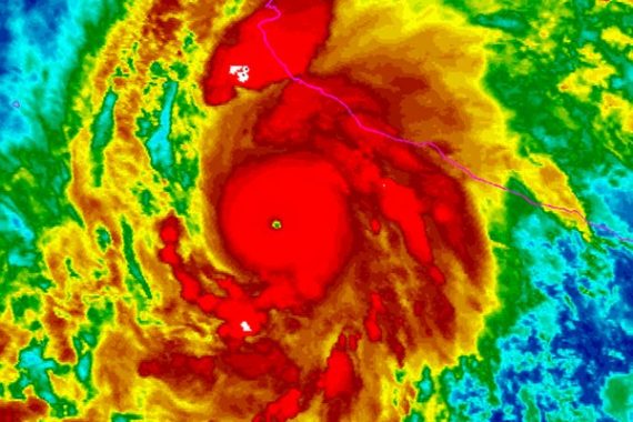
Hurricane Patricia, which meteorologists say is the strongest hurricane ever recorded in the Western Hemisphere, was expected to make landfall in southern Mexico on Friday afternoon.
Dennis Feltgen, a meteorologist and spokesman for the National Hurricane Center, said that it was a Category 5 storm, which means it is likely to inflict catastrophic damage and leave the areas it hits uninhabitable for weeks or months.
The World Meteorological Organization warned that the hurricane’s strength is comparable to that of Typhoon Haiyan, which caused devastation in the Philippines in 2013.
The city of Puerto Vallarta and some of Mexico’s most popular resorts are in the path of the storm, which, on Friday, had maximum sustained winds of 200 miles per hour. Flooding and landslides are expected near coastal areas, and officials are warning that storm surges could cause waves of up to 39 feet, according to The Weather Channel.
Tourists and residents in Puerto Vallarta awoke to a light drizzle on Friday morning. By midmorning, there was an eerie calm.
Airports in Manzanillo and Puerto Vallarta were closed, and buses roared out of stations bound for Guadalajara jammed with people racing ahead of the storm. But with no way out, many tourists prepared to hunker down and wait out the storm in hotel shelters. At the Grand Mayan Hotel, staff members prepared the service area farthest from the sea and told guests to report at 1 p.m.
Mr. Feltgen said that the storm had grown in the ideal environment: low wind shear, which essentially means that winds did not push the storm apart, and warm water. The Weather Channel said there had been a record number of Category 4 and 5 hurricanes this year, with 22 in the Northern Hemisphere alone.
Mexican officials have declared a state of emergency in dozens of municipalities in Colima, Nayarit and Jalisco States, The Associated Press reported.
In the United States, only three Category 5 storms that made landfall have been recorded, Mr. Feltgen said: a 1935 hurricane that killed more than 400 people; Hurricane Camille, which hit Mississippi and killed 244 people in 1969; and Hurricane Andrew, which hit Florida in 1992, killing at least 10 people there and three others in the Bahamas.
But Hurricane Patricia is “uncharted territory,” Jim Cantore, a meteorologist with The Weather Channel, said on Twitter.
“All the precautions to protect life and property should be completed now,” Mr. Feltgen said, adding, “People need to be in a safe place and stay hunkered down until this storm is over.”
The hurricane season has been relatively quiet in the Atlantic and the Gulf of Mexico again this year, so there hasn’t been nearly as much coverage of these storms as there ordinarily would be. That hasn’t been true of the Pacific Hurricane season, though, or the Typhoons out in the western Pacific. This year, the big story in the Pacific has been the formation of what seems to be the strongest el Nino in years and it likely isn’t a coincidence that this has also been a big year for Pacific hurricanes.
In any event, western Mexico seems to be right in the path of this storm over the coming hours, and one would imagine that the infrastructure there, and in Central Mexico where the storm would likely head after making landfall, isn’t all that great either. Hopefully, Mexican and international authorities will be able to limit the loss of life and property damage. This one seems like it’s going to be pretty bad, though.

Maybe it will turn north after a while and drop some liquid on us here in dry California.
I was hoping the same for New Mexico, but looks like Texas is getting all of it.
The future — near future including the East Coast of America after this year’s El Nino is worse.
Here’s one reason why: Ocean warming destabilizing ‘fire ice’ off Cascadian coast
Plumes of methane bubbling up from the ocean floor off the west coast of North America are likely coming from ‘fire ice’ destabilized by a warming ocean, researchers have suggested.
Scientists have been investigating some 168 bubble plumes spotted in the eastern Pacific over the last decade by researchers and fishermen. The trail of released methane runs just beyond the continental shelf from northern California up to the middle of Vancouver Island—a region of the Pacific seabed called the Cascadia Margin. A study out this week in the American Geophysical Union’s journal Geochemistry, Geophysics, Geosystems reported that a disproportionate number of plumes are situated at a critical water depth—about 500 metres—where methane hydrates are supposed to be stable.
Methane hydrates, also known as clathrates, are molecules of methane—the primary component of natural gas—trapped in a cage of water ice that forms at high pressure and low temperatures. Sometimes popularly referred to as ‘fire ice’, methane hydrates are found in vast quantities almost everywhere off much of the world’s coasts, but the Cascadian margin is a particular and proven hotspot. At a certain depth, clathrates remain stable. If the waters warm however, the methane can be released.
“We see an unusually high number of bubble plumes at the depth where methane hydrate would decompose if seawater has warmed,” said a University of Washington oceanographer. “So it is not likely to be just emitted from the sediments; this appears to be coming from the decomposition of methane that has been frozen for thousands of years.”
I don’t believe in god…but if I did I would pray for her to take care of the folks in Patricia’s path.
In my former life as a broadcast news photographer I spent the night out in Hurricane Andrew. What we saw when day broke was beyond belief. This is not going to be pretty.
My understanding is that it is the most powerful storm ever recorded period. The remnants are supposed to reach southern Texas where up to 12″ of rain is predicated for Houston.
My understanding is that it is the most powerful storm ever recorded period. The remnants are supposed to reach southern Texas where up to 12″ of rain is predicated for Houston.
@Ron Beasley:
Ooof. Galveston may be screwed. Houston can’t handle 2 inches of rain, let alone 12.
I don’t understand how all of this is happening. I thought Al Gore was fat, so climate change was a joking matter.
@Ron Beasley: Yeah I’m preparing for the inevitable flooding 3 hours south of Houston.
@Rudy Haugeneder: Add to this the increased activity being observed at Yellowstone, which sits on a super volcano. If that thing erupts, the eastern half of the US would be covered with several feet of ash. Some of this may be related to the unusual planetary alignment and increased sun storm activity; strange sightings in the skies. Just look at the recent events: 165 degree heat in India, Pakistan, and Iran. More meteorite strikes, especially in Iran. Increased earthquake and volcanic activity. Unprecedented flooding in South Carolina: described as “Biblical” proportions.
Something is going to happen.
That’s like saying it was cold yesterday, so Al Gore is wrong. A big problem in convincing people that global warming is real is the tendency to blame every event on it.
In other news, we’re close to setting a record heat level for this year. Wonder how many of these it will take before people stop claiming there was a pause.
@Tyrell: There is also evidence of increased volcanic activity in the Three Sisiters area in the Oregon Cascades. The ground in the area is rising 2 to 3 cm a year.
@Ron Beasley: Well, there’s also been increased activity in Japan at Mt. Fuji.
If it blows its top, Tokyo will be toast.
@Hal_10000: Look at the natural events of just the last several months: most volcanic activity ever, most earthquakes, strange planetary alignments, meteorite and unidentified objects sightings frequent, unbelievable 165 degree heat “dome” hits India, Pakistan, Iran – thousands killed, meteorites hit Iran, strange explosions in China, Yellowstone “super volcano” starting to rumble, unusual lunar events (blood moon and eclipse), devastating flooding in South Carolina. Major solar storms endanger earth ! Now a hurricane of Biblical proportions !
What is going on ?
@Tyrell:
Clearly, clock-boy has been up to more than clocks.
@Tyrell: the usual planetary things, which the evolved minds of standing savanna chimps then imagine to see patterns in.
@Neil Hudelson: i thought “climate change” was going to bring more and more disastrous hurricanes our way? not remnants of a west coast one…….weak.
you could almost feel the disappointment that this “massive” one basically did little damage, the wacked out weather people were just waiting to throw the dreaded “climate change” bs all over….but the ‘cane didn’t cooperate.
oh well, maybe it’ll snow up north or something…..
There’s gonna be more hot air blowin in Paris than this dud.
@bill: @Guarneri:
Are you both seriously complaining that the biggest hurricane on record didn’t do more damage?
That’s what you think is an accurate way of measuring climate change?
“How can climate change be real when more people didn’t die last weekend?!? YOUR MOVE AL GORE!”