More on the Fires

Politics, rhetoric, and the question of controlled burns.

Scenes of Devastation

A hellscape of fire and destruction.

The Devastation in North Carolina

And the grotesqueness of the Trumpian response.

Our Present Petty Polarized Politics

Common ground is, sadly, bad politics.

Self Promotion: An Interview On Becoming Trauma Informed

A brief primer on trauma and a link to an interview and paper on being trauma informed

Turkey-Syria Quake Kills 1300+

A natural disaster has compounded a man-made one.

The Florida Fantasy Meets Hard Reality

How a hideous, diabolical, pestilential, God-abandoned hellhole became our 3rd largest state.

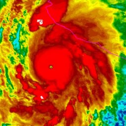
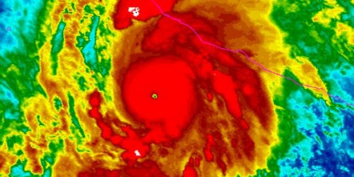
Insuring Against the Inevitable

Hurricane Ian renews some perennial questions about recovering from natural disasters.

I-95 Snow Nightmare Over

It took more than 24 hours but traffic is moving again.

Press Coverage of the Colorado Wildfires

The biggest news doesn’t always get the most attention.

More on Trump and the Fires

Trump appears to have been shamed into doing part of his job.

How the Electoral College Perverts Democratic Politics

Thinking about wildfires and electoral politics.

While Australia Burns, Its Prime Minister Fiddled Away On Vacation

Australian Prime Minister Scott Morrison gets a lesson in governing the hard way.

Trump Has Repeatedly Asked Advisers Why We Can’t Just Nuke Hurricanes

President Trump continues to have an odd obsession with nuclear weapons.

Second Major Earthquake Hits Southern California

The ground shook overnight in Southern California for the second time in two days.

Trump Spreads Lies And Conspiracy Theories About Deaths From Hurricane Maria

President Trump is apparently a Hurricane Maria Truther.

Why Don’t People Listen To Evacuation Warnings?

As Hurricane Florence bears down on the East Coast, most people are listening to orders to evacuate, but some people aren’t.

Trump Still Thinks He Did A ‘Fantastic Job’ In Puerto Rico

Despite the evidence, the President thinks he did a great job handling a disaster in which nearly 3,000 American citizens died.

New Report Estimates 2,975 People Died In Puerto Rico Due To Hurricane Maria

A new study concludes that the total death toll from Hurricane Maria was vastly higher than previously reported.

Central African Ebola Outbreak Appears To Be Contained

An Ebola outbreak that started last month in Central Africa appears to be contained. You can thank an aggressive vaccination campaign for that.

Puerto Rico Death Toll From Hurricane Maria Much Higher Than Officially Reported

A new study suggests that the death toll in Puerto Rico from Hurricane Maria was much higher than previously reported.

Tornado Hits Jacksonville, Alabama

As we wait for “an all-out snowstorm for the DC-to-Philly-to-NYC-to-Boston corridor,” a storm has already hit back home.

The free high-resolution photo of street, bicycle, asphalt, vehicle, hat, park bench, homeless, stockholm, packing, baby carriage, drifter, norrm larstrand , taken with an DMC-FS10 01/29 2017 The picture taken with 10.0mm, f/3.8s, 1/640s, ISO 80 The image is released free of copyrights under Creative Commons CC0. You may download, modify, distribute, and use them royalty free for anything you like, even in commercial applications. Attribution is not required. The free high-resolution photo of street, bicycle, asphalt, vehicle, hat, park bench, homeless, stockholm, packing, baby carriage, drifter, norrm larstrand , taken with an DMC-FS10 01/29 2017 The picture taken with 10.0mm, f/3.8s, 1/640s, ISO 80 The image is released free of copyrights under Creative Commons CC0. You may download, modify, distribute, and use them royalty free for anything you like, even in commercial applications. Attribution is not required.

‘Bomb Cyclone’ Possible with Life-Threatening East Coast Storms

This isn’t your ordinary windy day.

Trump Tweets Insults At Mayor Of San Juan While Puerto Rico Continues To Suffer Maria’s Impact

While Puerto Rico suffers, President Trump is spending the weekend at his New Jersey golf resort attacking people on the ground who are actually doing something.

Obama Under Attack For Not Visiting Louisiana In Wake Of Flooding

President Obama is being criticized for remaining on vacation while Louisiana deals with historic flooding.

W.H.O. Declares 2014 Ebola Outbreak Officially Over

The World Health Organization has declared the Ebola Outbreak that began in 2014 to be officially over.

Fukishima ‘Much Worse’ Than We Thought

Everyone knew the Fukushima disaster was bad. We likely underestimated how bad.

Did Special Forces Snipers Kill Americans After Katrina?

A former Navy SEAL charges that Blackwater snipers killed American citizens in New Orleans during Katrina’s aftermath.

Meteorite Strikes Central Russia, Up To 500 Injured

A bolt out of the blue.

A Different Way Of Handling Disaster Relief

It’s time to start thinking outside the box when it comes to disaster relief.

Chris Christie Slams House Republicans Over Sandy Relief Failure

Hell hath no fury like a Christie scorned.

Obama, Christie, and Springsteen: Superstorms Make Strange Bedfellows

The bromance between President Obama and New Jersey Governor Chris Christie has now become a love triangle with the addition of Bruce Springsteen.