Why Don’t People Listen To Evacuation Warnings?
As Hurricane Florence bears down on the East Coast, most people are listening to orders to evacuate, but some people aren't.

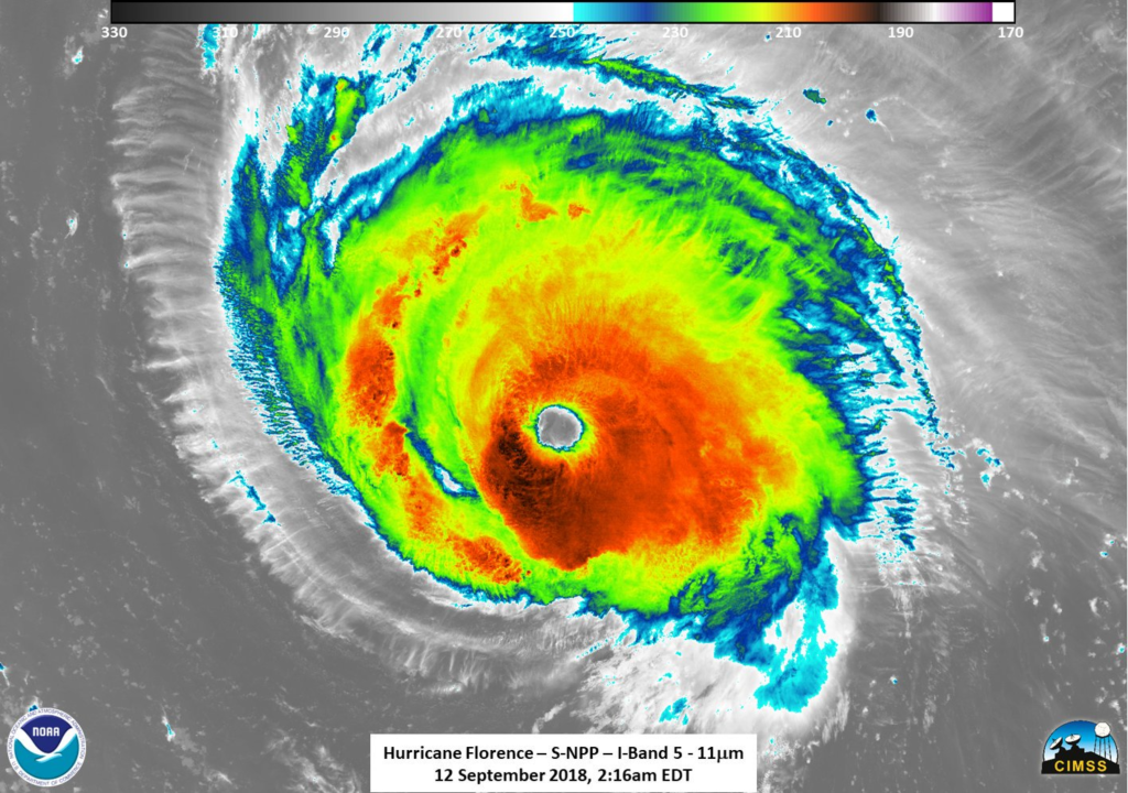
By this time on Friday, Hurricane Florence is expected to make landfall somewhere along the North or South Carolina coastline. Whereever the storm hits exactly, it’s expected that the massive storm, which is currently at a Category Four and could reach a Category Five before making landfall, will be the most powerful tropical storm to hit the East Coast of the United States north of Florida in more than a generation. More importantly, because of the size of the storm and speed at which it is expected to move, forecasters believe that, somewhat like Hurricane Harvey last year, the biggest danger from Florence will be not from the wind so much as the water and storm surge. This could lead to catastrophic flooding in coastal areas from the Outer Banks south to the South Carolina/Georgia border as well as risks of additional flooding in inland areas. As a result of these forecasts, the Governors of North Carolina and South Carolina have both issued evacuation orders. Most residents of the threatened areas appear to be complying with the calls to get out of the way of the storm, but the news media is full of reports from longtime residents of many of the areas likely to be impacted who say they intend to ride the storm out.
This isn’t a new story, of course. Every time we have one of these storms, there are reports of people who stay behind. In most cases, these people seem to believe that they will be okay and they are determined to stay behind to protect their property. Nonetheless, there’s no question that these people are putting their lives, and the lives of first responders, at risk. So, naturally, some people are asking why people would decide to ignore the warnings to vacate:
Lack of preparation helps to explain why the material losses we have experienced after recent disasters have been as severe as they were, even when people have been forewarned. And lack of preparation, the research shows, is caused by cognitive biases that lead people to underplay warnings and make poor decisions, even when they have the information they need.
The pattern occurs again and again. When Hurricane Sandy hit New York and the Mid-Atlantic states in 2012, for example, 40 people drowned because they failed to heed warnings to evacuate flood-prone coastal areas. Yet the storm had been accurately forecast, and, what’s more, people believed the forecasts.
A survey conducted in advance of the storm found not only that residents in the area were acutely aware of the storm threat but also that many believed it would be even worse than it was. One day before the storm arrived, for example, New Jersey residents believed there was an 80 percent chance that they would experience hurricane-force winds from the storm — odds far higher than the actual risk they faced, according to estimates at the time provided by the National Hurricane Center.
Yet preparations for the storm were comparatively limited: Twenty percent of residents surveyed indicated that they had a preparedness plan in place. What went wrong? In this case the cognitive bias of excessive optimism kicked in: Residents knew all too well that a storm was at their doorstep and that many people would be affected — they just thought it wouldn’t affect them.
Moreover, the bias of herd thinking compounded the problem. Looking around and seeing that few others were making preparations, residents felt no social pressure to do more.
In addition to over-optimism and a herd mentality, several other psychological biases undermine preparation for dangerous natural events. Consider myopia. Sound preparation for disasters requires us to make short-term costly investments (buying insurance or evacuating, for instance) to stave off a potential future loss. But most of us tend to be shortsighted, focusing on the immediate cost or inconvenience of preemptive action rather than the more distant, abstract penalty for failing to act. That leads us to conclude that preparedness is something that can be put off.
Amnesia is also evident in people’s reactions to news of a storm heading their way. Even when we have been through disaster before, we tend to forget what it felt like the last time — the discomfort of being without power for days, the challenges of repairs. While we may remember the bare facts of the event, emotions are what tends to drive action, and those memories fade the fastest. Examples of this type of forgetting are evident in many areas of life. After the financial meltdown of 2008-2009, as after other crises, one heard calls to curb excessive risk taking on Wall Street, to minimize the possibility of a recurrence. But after the recovery, investors were right back at it; they had a hard time fully reimagining the downturn.
Simple reminders do little to help. Many cities that have experienced deadly disasters, including Galveston, Tex., have monuments to remind residents of these events. But they evidently do little to instill the horror of living through such an event and therefore do little to inspire preparation
Inertia and simplification are also enemies of sound decision-making. When we are unsure of what to do in the face of an incoming storm, we tend to stick to the status quo of — doing nothing. If we are unsure when to evacuate, we tend not to evacuate at all. Additionally, we tend to simplify our courses of action, selectively attending to a subset of relevant factors when making choices involving risk. When preparing for a hurricane, many things may need doing: arranging for lodging in the event an evacuation is ordered, securing water and supplies for 72 hours, filling cars with gas, locating alternative power supplies. In the face of such complexity we may undertake one or two actions and consider the job done.
In other words, what we’re dealing with here, to a large extent, is human nature. Notwithstanding the warnings that we’ve seen in the case of past storms and those that will be issued in the next 24-72 hours with regard to Florence, most people don’t believe that they will be directly impacted by the worst of the storm. Overcoming this internal bias isn’t easy, and in many cases, it depends on whether or not it comes from an authority that projects the kind of authority and responsibility that are likely to cause people to listen to them. Former New Jersey Governor Chris Christie, for example, became famous for his warning to residents to “get the hell off the beach” in advance of the approach of Hurricane Irene in 2011, and he was similarly taken seriously when he issued similar warnings as Hurricane Sandy bore down on the Garden State a year later. Part of the reason for that was that, at the time, Christie had developed a reputation that demanded he be taken seriously. Even in those cases, though, there were still people who stayed behind to ride out both storms.
Another factor that likely influences behavior in these situations is the fact that previous warnings have proven to be premature and storms that were forecast to be devastating ended up either changing course at the last minute or otherwise losing strength. The same thing happens frequently with regard to winter storms that are forecast to be major events but then end up being much ado about nothing, causing many people to question a decision to close schools that was made based on forecasts that seemed reliable at the time. Over time, these types of event likely taken on the nature of the story of the boy who cried wolf, causing people who are already skeptical of these warnings to become even more skeptical. The problem with that attitude, of course, is that eventually these forecasts have a way of being all too accurate, and the consequences can be devastating.
The authors make a few suggestions about how to get around these biases:
The key to better preparedness is thus not to eliminate these biases, a hopeless task, but rather to design preparedness measures that anticipate them. Consider the bias toward simplification: the tendency for people to consider themselves prepared after taking one or two actions. The fix? Officials shouldn’t distribute long, generic checklists of preparedness measures, which, the research suggests, will lead people to pick a couple (often the easiest rather than the most important). Rather ordered lists should be issued: Tell people, “If you are going to do only one thing to prepare for a storm, it should be this. If you are going to do three, you ought to ….” To fight inertia, work hard to persuade people to develop precise preparedness plans that include a shopping list of supplies, and exact plans for when to, and where to, evacuate, should that be necessary.
Recent years have seen tremendous advances in our ability to predict natural disasters such as hurricanes, floods and heat waves — extreme events that may become increasingly common as the climate changes. But these advances have done little to reduce the damaging cost of these events. Reducing those costs will require advances of a different kind: a better understanding of the psychology biases that shape how people make decisions, and better preparedness systems that anticipate and work around these biases.
Perhaps these methods would work, they certainly seem worth trying even if they only result in a handful of lives saved. On the other hand, it’s possible that if we really are entering an era where storms like Florence become more common, and it’s far too early to tell if that’s the case, then perhaps people will start to take the warnings more seriously. In that regard, I’d be interested to know if there have been any studies done in the wake of storms such as Hurricane Katrina, Hurricane Sandy, or, more recently last year’s triple threat of Harvey, Irma, and Maria, to determine if the seriousness of those storms is causing people to reevaluate how they react to the warnings they get from public officials. If that’s the case, then they could be one of the few positive things to come out of these storms.
In any case, if you live in any of the areas likely to be impacted by Florence, my personal advice is to get out of the way immediately. If the storm turns out to be a dud, then the worst that has happened is that you’ve lost a couple days staying a hotel, in an emergency shelter, or with relatives. If the worst comes to pass, or anything close to it, then you may well have saved your life.
There’s also the “if we think good thoughts nothing bad will happen to us.”
Over the years, as I’ve gotten older, I’ve become less sympathetic to the trials of people who don’t do the planning necessary. You chose to stay behind in an area that you could have evacuated from and from where you were told to get out of? Then whatever happens to you is your responsibility. We’re not going to risk emergency responders to save you from the consequences of your own stupidity–we have better places to use the money and more efficient ways to do so.
(Either that, or rescue them and charge said families for the entire bloody cost of saving them. Stupidity needs to be very very painful. Same reason why Japan charges $200K to the families of suicides that jump on the train tracks and disrupt public transportation in Tokyo. We don’t have time to coddle you.)
Darwin works in mysterious ways.
People who live year round at the beach have a different outlook than those of us who don’t. They don’t want to leave it, even the ones who live in places where the normal coastal erosion is such that eventually, inevitably, their houses are going to slide into the sea without the push of storm. It would make me uneasy to be living, literally, on the edge like that.
On the other hand, ever since the Blizzard of ’78, all you have to do in Massachusetts is walk outside and whisper, “It’s going to snow,” and every grocery store is promptly cleaned out of bread, milk, and toilet paper.
@grumpy realist:
I’ve often wondered why so many people insist on living in trailers in Tornado Alley.
Why do people live in Malibu, knowing that a storm surge or a rock slide has a good chance of wiping out your house?
Why do people choose to live in flood plains, knowing they’re going to be flooded out?
Why do people choose to live in Tornado Alley, knowing eventually a tornado is coming their way?
Why do people live anywhere in Florida, knowing hurricanes are coming?
Why did I choose to buy a place in Mexico (San Miguel DeAllende), despite the cartels and danger to Americans?
That last one I know the answer to. The others, no idea.
My wife and I, our son and daughter in law and their son rode out Irma. You may remember that all the storm track spaghetti plots showed Irma going up the Atlantic Coast of FL, with one outlier hooking left through the Keys and then up the Gulf Coast. When the forecast changed to the left hook we thought about bailing, but all our friends from Miami and Lauderdale were by that time up our way on I75. Word was that it would take 24 hours to get to the GA border, where there were no motels and no gas. The kids are in an A zone and got an evacuation order. We’re in Zone D, so putting their furniture up on blocks and sheltering with us made way more sense than the five of us, two cats, and the few gas cans we found living in two minivans for a couple days.
We can afford to throw the go bags and other luggage in a car, reserve a room, and head for Chattanooga. Which is a nice place to spend a few days. (If you’re ever there have lunch at Sugars BBQ, not the one downtown, the one on Missionary Ridge with the view of Lookout Mountain.) Bad forecasting and all the psychology above play a big part, but a lot of people simply do not have the wherewithal to travel and get lodging a couple states away. I expect that was true of almost everyone in the Super Dome in Katrina. I’ve been laid off a couple times and threw my back out big time last year. Every time I start feeling a little sorry for myself I see an apparently poor elderly black lady in a wheelchair and realize I’ve got no problems (except Republicans) worth worrying about. How the hell is she supposed to evacuate?
@CSK: I went to Iowa State for a year. Every town in the Midwest thinks it’s tornado alley. Ames is.
Evacuating is expensive. And difficult if you don’t have a car and relatives in a safe location.
All the hotels and motels are going to be full. You have a choice between being in your house, which has survived N big storms, or sleeping in your car somewhere with a weakened storm battering it.
And if you don’t even have a car? If you have an elderly relative who cannot or will not move?
It’s easy to say “these people are idiots, they deserve what happens to them” so you don’t have to care. Easy and cruel.
Now, if a wealthy person dies in his beachfront property, that’s another issue. I’ll hope the hired help got out though.
Some people are not being given the option to evacuate:
https://www.vox.com/2018/9/12/17850586/hurricane-florence-south-carolina-prison-evacuation
This is a CLEAR constitutional violation. Sadly this is all too common during hurricanes. The stories about what happened in prisons post Katrina are the stuff of nightmares.
Unfortunately, this never gets enough coverage.
(To be clear, it’s not just prisoners, guards/staff are being forced to stay as well).
@CSK:
When I lived in the snow belt (far northwest NY) we called this behavior The White Sale. We would especially laugh about the TP. If you might be snow bound a couple of days it could make sense to sock in a little extra milk or bread, but do people crap so much more during a snowstorm that they feel they need to buy the 48 roll mega pack?
@EddieInCA: Because that’s where they grew up and they don’t consider other posibilities? Because they are poor and moving is an insurmountable obstacle? Because you have to live somewhere? Because that’s where their farm is? I could go on…
In my former career in broadcast journalism, I had the dubious pleasure of spending the night out in Hurricane Andrew. The eye went right over us.
It hit Homestead, FL as a Cat 5, with sustained wind speeds of 165 mph, destroyed 65,000 houses, damaged a ton more, $20B in damage, and killed 65 people.
I can tell you…if you are in the path of Florence…get the fvck out.
I’m also reminded of the eruption of Mt. St. Helens. King County, where Seattle is, contracted a consultant to see how an evacuation might work if the ash moved North and West instead of the more common South and East. The consultation determined that an evacuation was possible on 5 or 10 days notice–except that there were no known logistics for handling 5 to 6 million evacuees.
They never found his body.
Apparently his 16 cats went with him.
I’m a cat guy. I find it difficult to forgive him for that.
I think I can add some insight onto this. My experience is 25 years old or more and relates to pre-Katrina New Orleans.
– Path prediction is a very iffy proposition. In the three years I was living there or spending the weekends there, there were at least a dozen (two dozen?) storms that might have made landfall in New Orleans in a three day window. If they hit they might have been as serious as Category 4 or worked their way down to Tropical storm. There is simply no way a major metropolitan area can evacuate 4-5 times a year. Couple that with the fact that city has continuously existed in similar conditions for nearly 3 centuries and most structures are built with severe storms in mind. (Remember, Katrina was devastating because the flood control walls collapsed, not simply because a hurricane hit.) As path and severity predictions become more and more reliable, this may change.
– A significant part of the population lives in poverty. As others have pointed out, relocation requires money. When it comes to the poor and emergencies, America is an extremely Libertarian country: the government may recommend evacuation, but you are on your own to actually get out. Survival of the fittest, I guess.
– Poverty plays a role in another way too: severe poverty generates so little practical experience in moving about that even if someone could scrape together the money to get out, they have no notion of how to go about doing it. I remember a friend who owned a convenience store in a slowly gentrifying neighborhood commenting to me about the sudden influx of kids from the the primary school across the street, “A lot of these children live in the projects on one end of the block, go to this school on this end, and anytime they get a buck or so come into this story to spend it, and even at 9-10 years old have literally never been off the block.”
@MarkedMan:
In case they get diarrhea from all the French Toast they made with the milk, bread, and eggs, DUH!
@EddieInCA:
Good question. So why am I probably moving to LA? I’m actually in London looking at property and then . . . a producer approached. . . and my wife has a movie coming. . .and another producer is after another property of ours. . . and I have an agent taking on our backlist. . .and so I’m moving to the land of earthquakes, mudslides, a possible tsunami, perpetual drought, smog, traffic, a billion square miles of concrete, half of the world’s supply of muffler shops, high taxes, absurd real estate costs, where every desiccated once-green thing eventually catches fire.
Explain it to me, Eddie in California? WTF is the matter with anyone who would live there?
All I can say is Hurricane Rita. Following shortly after Katrina, I had friends who tried to evacuate Houston. They had no financial issues and got the earliest start they could, but they couldn’t get anywhere. Almost as many people died trying to evacuate as did from the storm itself. I stayed home with my fur babies. I also rode out Hurricane Ike three years later. It just seemed like the sensible thing to do.
Here in Arizona, we have the Stupid Motorist Law. It hasn’t been used much, but might be a strong deterrent — I don’t know. For something similar to be enacted regarding evacuations, I think authorities would need to have a very good plan for helping people without resources. Otherwise what would be the point of penalizing people who are too poor to evacuate in the first place?
Well personally I couldn’t evacuate because I straight up didn’t have the savings to do it or any family within 1000 miles to drive to. There was also the issue that my jobs were expecting everyone to show up to work right up until the hurricane hit us. A no show was treated as a no call no show and that could lead to termination directly or with the next infraction. So my choice was financial ruin and the complete loss of my jobs and living area vs what seemed a low percentage chance of injury.
People here are STILL recovering from Hurricane Harvey. Financially it whacked a lot of people and there’s still a ton of damage here that needs fixed.
I received almost nothing in assistance in the aftermath of the hurricane. I did get to stand in line for 5 hours for about $150 in food stamps a couple weeks after the hurricane. That was the extent of assistance I received after having no power for well over a week. Of course the water needed boiled during that time period…
I was forced into pawning the few valuables I had and then a title loan. The pawn interest wasn’t so bad but the title loan was. They made several times over what I borrowed.
There’s an instinctual desire to hunker down where you’ve felt safe before; it goes beyond reason or logic or even normal emotion. There are always people who won’t evacuate in time, even if they know a disaster is coming. Or already in progress, for that matter – some people refused to leave Love Canal, even though they knew perfectly well there were toxic chemicals. If they refuse to leave, there’s not much that can be done.
The only question is how emergency response teams should treat them. Unfortunately, too often they endanger themselves helping people who refused to help themselves when there was time.
@Michael Reynolds:
And here I thought you were moving to avoid having to step over the homeless, broken syringes and human feces in that model of liberal nirvana, San Francisco.
The real question is why people are permitted to rebuild with wood within 10 miles of the ocean. Rebuild with concrete and steel or don’t get a permit. There was a time when people in south Florida lived in concrete block homes. Had a guy from Guam after seeing houses on the Gulf coast, pre-Katrina, ask why the houses were made of wood, in Guam only poor people live in wooden houses.
If you think evacuation is bad now, wait until everyone is dependent upon the forecast “car services” rather than being permitted to own their own automobile. The people in New Orleans were on the whole dependent upon public transportation and were left to die by the city and state officials who control those services.
Not to mention the autonomous vehicles which will not deal well with evacuation route changes in roadways, or washouts.
As someone who lives a 10 minute walk from the ocean, all be it 50′ above sea level, I’d probably stay. Why?
1. Unless you have friends or relatives who live on high ground inland where you can stay, you’ll be in your car or some god awful shelter.
2. If you leave the coast, it could be days or weeks before the authorities let you back. If you stayed they’ll likely leave you alone.
3. In specific reference to Florence, many of the areas that the evacuees will escape to are at high risk of flooding. Drown at home or drown someplace where it will be weeks before they identify the body.
@Sleeping Dog:
The Sea Wall will protect the autonomous vehicles. Or the robots will pay.
Watching the preparations on TV feels weird to me, I just did a summer trip from Wilmington NC to Savannah GA, pretty much prime Florence land. I saw all the houses at Kure Beach that had car ports underneath in case of flooding. But they first floor was still only about 12 ft above sea level, and none of the houses looked like they’d do well in 100 mph wind with water washing around the pylons. And at Ft Fisher they explained how about 300 ft of the old fortifications were missing , washed into the sea in a big hurricane. Makes you wonder how much will be left Sunday.
And if you look on how flat the coastal plain is in that area, and how many little inlets were already flooding due to heavy rain, there might be water for miles around you if you try to stay, especially if the storm stalls like predicted. There might be a lot of people trapped that feel “hunker down safe” because they’re a good distance from the beach, but get surprised by water coming the other way.
Doug wrote:
I am agoraphobic with a whopping side of anxiety disorder. Sometimes profoundly so, sometimes slightly less than profoundly so.
If I lived in an evacuation zone, I would understand the logic of the reason for the evacuation order and I would agree with it. I would want all my neighbors to comply – and yet there is a 95% chance I would “shelter in place” anyway.
It’s hard to describe. Having a full-blown panic attack in public is just so fucking humiliating. People think I’m having a stroke and they’re trying to help me, God bless ’em.
It’s illogical and stupid and unproductive, yet I would likely ignore the evacuation order. 99% of my brain would know that evacuation is the proper thing to do. But I would dither and temporize until it was too late, and I would hunker down as best I could, because the prospect of deeply humiliating myself in public is frankly worse than death. Stupid, wrong, and yet also true.
So appropriate. Joy Division Leave Me Alone
https://youtu.be/wqpseZS3mD0
@JKB: You really don’t get that “self-driving” is only a mode of operation–AND NOT THE ONLY ONE–do you?
I mean, come on; I’m an ig’nint cracker and even I get that. Sheesh!
Live in the PNW in a small city on the Columbia River. Grew up in Seattle on Puget Sound. We’ve had our share of Catagory 5 storms over the years and yet we get significantly less damage and trauma than other areas do. Reason? Easy peasy–we don’t allow people to build on the beach, you have to build, currently I think 100 feet, back behind where the vegetation starts. In Seattle, there are houses on the Sound at Alki, but most of them have been build behind retaining walls by very wealthy people who didn’t want to lose their investment. And behind the sand at Alki is a basalt shelf so that helps, too.
In Kelso, where I live now, about a dozen or so families built on the banks of the Cowlitz River before zoning stopped that practice. Those people have lost their houses roughly 5 times in the 20 0r so years since I first moved here. Hmmmm… (on the other hand, living on the bank of the river is the bomb aesthetically)
@Just nutha ignint cracker: I’m sure you get bad storms in Seattle but I’m almost certain they never develop into hurricanes, never mind a category 5. Here’s a Scientific American article that was written to address the question, “Why doesn’t the west Coast get hurricanes”.
@Just nutha ignint cracker:
No you haven’t. You’re on the opposite side of the continent for a hurricane, let alone a Cat 5. Theoretically, it’s maybe possible that you could catch a typhoon hooking back east, but that hasn’t happened in recorded history.
I admitted I would likely be a hold-out, a “shelter in place” guy push comes to shove.
But, it really is an interesting topic because vast populations live in areas that are guaranteed to be annihilated. All of the West Coast is overdue for The Big One, San Diego, LA, SF, Portland – anything within 50 miles of the fault will eventually be smashed by Mother Nature.
It will happen guaranteed, and yet it is a huge and growing population and economic center.
Who, exactly, is the idiot? One guy who stays and may require expensive rescue, or an entire nation who has a fifth of its economy based in an area that will be destroyed by earthquake / tsunami.
Los Angeles / SoCal / SF will eventually be hit and Miami will drown. It will cost trillions. And yet we freak out when dude stays in his trailer.
The West Coast will be destroyed tomorrow or 87 tears from now, but it will happen. We are not prepared.
@Michael Reynolds:
Reminds me of a few months ago when I said that you’re moving to London, and I’m moving to Duluth, and the relative disparity of our lifestyles. I’m half in in DM and half in Duluth. I should have just sold everything or donated it. Stuff is stupid and I’m spending half my day arranging the movement of crap I have zero emotional attachment to from A to B.
And the Duluth house is a *project* house. I swear, I’m spending the last half of my life running away from the very concept of HOA dues.
Is there a worse person than the condo enforcer who tells you that your beige is not the approved shade of beige approved under the by-laws?
Still, you’re a good person. A prickly pear to be sure, but a mensch. If you need a couch, I got one. One night only!
The most obvious Rancid vid evar, Fuck it, I like it. Why are bassists so weird?
Ruby Soho
https://youtu.be/0P9QMkm9Eew
If we’re doing obvious – Motor Away Guided By Voices
https://youtu.be/9J-V6AGuA2k
Turn your speakers all the way up. 11, twelve, whatever. Just jack max that volume.
The Ronettes Be My Little Baby (Live) such great dancing!
https://youtu.be/sRy2pV7b2QA
Screw Phil Spector
I have four great First Avenue stories – one is that I went to a show I got comped to (tip your servers / bartenders!) see someone and the warm-up band was some weirdo NC Chapel Hill band called Superchunk – and they killed.
I have no idea who the main act was. I’ve utterly forgotten.
I was in that little side bar area on the left side drinking beers with my buddies biding my time…
And then there was this huge resounding din, and that was Superchunk doing Seed Toss live and they were so fucking loud.
They were opening for ??? and no one was there to see them and then they were just so savage and brutal. I don’t know if no pocky for kitty was out yet but it had to be close to that time.
I saw Superchunk when they were just chumps – really talented opening act chumps.
One thing I love about First Ave. / 7th St Entry is that they are not shy on the volume knob. Superchunk made my guts resonantly vibrate. I can die happy.
Seed Toss
https://youtu.be/_JhzGUVVeqU
Superchunk
Cast Iron
https://youtu.be/ZeAFUAW2ShM
Superchunk
Slack Motherf*cker
https://youtu.be/-c_GX2CYkcQ
@gVOR08: Yes, there is also the fact that I wonder how much actual preparation NC and SC have made for actual evacuation (using both sides of the highways to get Away From The Beach, making sure there are police guiding things, coordination, etc.)
There are times when you really do need large scale coordinated efforts, which is the sort of thing that governments are good for. Just posting an “emergency evacuation” order without doing the rest of the work is stupid (and on par with what I suspect is more likely from Republican governments–“the Free Market will take care of it!”)
I still think the woman with her kids on the beach refusing to budge is an idiot, however.
BREAKING…Dennison is now saying that 3,000 people did not die in PR, and that Democrats are just making that up in order to make him look bad.
The 3,000 number comes from a study done by GW University and commissioned by the PR government.
The president of the US is pathological liar who is suffering from delusions and, likely, the early stages of dementia.
If the people of NC/SC/GA are waiting for Dennison to help them, they are fvcked.
You mean so close to the water that when the house on the ridge above slides down due to excessive rain reaching the slick clay strata that they are literally pushed into the Sound?
As far as hurricanes, they don’t reach the PNW, they have flooded out Malibu beach houses. Johnny Carson’s being on of the most famous. But they are dying by the time the reach California due to the cold upwelling on the west coast of continents.
BTW…North Carolina passed a law that Climate Science and sea level change could not be used as a basis for coastal policies.
IMHO that should prevent them from receiving Federal Relief funds.
I see no reason my tax dollars should support this kind of stupidity.
@Michael Reynolds: You might want to consider renting for a few months before committing to SoCal. Even if there’s film week it’s an easy commute from the Bay Area, but the cultural gap between north and south is vast. Don’t give up the Tiburon house before you’re sure…
@JKB: “If you think evacuation is bad now, wait until everyone is dependent upon the forecast “car services” rather than being permitted to own their own automobile. ”
Yes, JKB, the eeeevil gubmint is going to take away all your private cars just as soon as the Democrats get into power again.
I don’t know why people seem to think conservatives are stupid…
Come to think about it, I have like 14 good First Ave. stories.
The “Cigarette?” girl.
That time I lost my car and ended up in St. Paul and had to walk 6 miles home at 4 AM.
When I threatened to punch a prostitute (I wouldn’t have, but the threat of punching was warranted and it got me out of a pinch.)
The time I figured out that you shouldn’t try to drink beer for beer someone who outweighs you by eighty pounds (same night I had to threaten to punch a hooker trying to jack my wallet – see
above)
The time we came thatclose to denting Prince’s purple Towncar. Back up three cautious inches, jack the steering wheel all the way right and pull forward ten inches. Turn the steering wheel all the way around and back up 4 inches and then advance 11 inches. Repeat. And repeat.
And two massive dudes were glaring at us the entire time and a wee, tiny, dapper and charismatic man was laughing at us from the back seat. Talk about performance anxiety. I’m in the scrub passenger seat and I’m telling Bobcat to just be calm and go slow and be careful. But I’m internally freaking out – we’re an inch away from dinging Prince’s bumper! Ach!
Under Pressure (official)
https://youtu.be/a01QQZyl-_I
I trying to decide if I have a bigger platonic man-crush on Freddy Mercury or David Bowie.
Freddy was a much, much better singer, but Bowie was a much better lyricist.
That whole Brian Eno era Berlin stuff is so great.
Heroes
https://youtu.be/lXgkuM2NhYI
My brother, a transplant from the midwest, has lived in Southern California for 45 years or so.
From cheap apartments in LA in the 70’s he has settled in the desert near Victorville after stops in Glendora, San Jacinto and Moreno Valley. He loves it.
I can see Mr. Reynolds dwelling in Hollywood long enough to get a gig as the ghost of Rod Steiger in The Return of The Player.
rod steiger
Or do you change your position purely based on your politics?
What Republican would do that?
Certainly not Dimbulb Donnie!
Trump: ‘President Barack Obama was born in the United States. Period’
@grumpy realist: We learned from Hurricane Floyd in 1999; major highways were made one-way, heading westbound (that was done yesterday). But no amount of planning can redeem the bad decisions of people who built near the high-water mark, and the authorities who let them do it. My wife and I are well inland and on high ground with little flood hazard. But we’re still worried about the possibility of wind damage.
Another blond chick refusing to evacuate.
I hope this idiot remembers her “adrenaline rush” as a steel lamppost comes crashing through her house and spears her to the wall in a 120 mph wind.
@de stijl: I’m not sure that it’ possible to prepare. FEMA or whoever does this stuff projected that following “the big one” in the PNW, it would take 18 months for repairs on I-5 and no power or water for about one year. Beyond that, the Lower Columbia region is considered to be in a “liquifaction zone” for the river so people not living in the hills are SOL.
@JKB: Well, I have to admit that there has certainly been a lot of that in Seattle. But wherever there is view property, there will be people who put up a 3000 sq. ft. home on the footprint of the 800 sq.ft. one they bought. Up here they’ve normally called themselves Republicans.
There’s this guy called JoeyDaPrince who has a series of videos where he checks out wypipo music and gives his feedback. Mostly, he just sit-dances and head bangs.
He’s not that great at insight, frankly, but the concept is so money. Youngish 30s black guy absorbs white people music and responds to it. The cultural and power dynamic is fascinating.
This is JoeyDaPrince watching a live version of Under Pressure
https://youtu.be/F3GJhMlXDCQ
Imagine someone like Ta-Nehisi Coates grabbing that mantle? There is a lot to unpack – Freddy Mercury does a really Leni Riefenstahl crowd chant thing at the front end of the video that is quite creepy. The whole call and response thing is pretty fucked up.
Why is Queen “white”? Why is Under Pressure “white”? What makes it so?
(BTW, casting Rami Malek as Freddy for the new film was fucking brilliant.)
Freddy Mercury’s real name is Farrokh Bulsara, a Parsi (so basically a Persian with a strong Indian influence, look it up if you want more background. I’m obviously shortening the story here) and was born in in the Sultanate of Zanzibar.
He was by most standards not officially “white”. When he moved to England, he was likely derided and called unfortunate names because of where he was born.
He presented at the time by most standards as not really “straight”. And he was coy about it!
Yet this south-Asian hybrid, clearly queer man, was a world-wide superstar rock god. A very, very white rock god who made music that white, straight people loved. It’s fascinating.
@tm01:
FTFY. Too easy. Don’t buy that one!
@Daryl and his brother Darryl: Al Gore bought a large home on the ocean front somewhere in CA. So much for the sea level issue. Ocean front properties prices are rising, if anything.
@Tyrell: People who are rich enough probably don’t worry about their beachside house getting washed away BECAUSE THEY CAN ALWAYS BUY ANOTHER ONE.
@grumpy realist:
Then this comment should be painful. You have a family who just lost a loved one in a tragic way, and so you want to bankrupt them on top of it? I assume you were printing a GOP voter registration form while you were typing that.
@teve tory: Remember the role that suicide has in Japanese culture–it’s considered a traditional way of redeeming one’s honor (if you’ve lost it through failure, bankruptcy, etc.)
6 million people a day ride the subway system in Tokyo. 3 million of them pass through Shinjuku station every day.The Yamanote line acts as the main “final mile” transportation system for all of the train lines coming into Tokyo. Shutting down the Yamanote line for several hours has immediate drastic effects on a lot of Japan’s economy. It’s equivalent to shutting down all traffic in Washington D.C. , Chicago, and NYC combined.
So the fines on the families are what the city of Tokyo decided to institute as a policy when they started having a large number of suicides shutting down the Yamanote line after the property bubble burst. If by your suicide you end up shaming your family and putting them in even MORE financial distress and causing even MORE pain, maybe you’ll decide to not commit suicide? (Or at least do it in a way that doesn’t cause damage to the city’s economy.)
You may not like it, but it works. The suicides (at least on the Yamanote) stopped.
@grumpy realist:
I’ve seen a number of these interviews -all attractive blonde women for some reason- and I really hope there’s going to be some follow up by the news to see what in the world happened to them.
I do feel bad for the small children that are being exposed to horrific danger by these parents.
I live in northeastern Mass., and, unbelievably, I had to evacuate my home on five minutes’ notice today because of the multiple gas explosions and fires (at least 70) spread across 3 towns. The Andover, Mass. fire chief said it was like Armageddon. This was something like 150,000 people all told to clear out at once. I had to leave everything behind.
I’m tired.
..as said–stupidity should hurt. The least these people should be forced to do is wear a “I am a big dumb idiot” tee-shirt for a month or two. While volunteering to help clean up from this mess.